Results
View all 7 pictures

Is this your property? Sell it faster with premium placement and targeted ads.

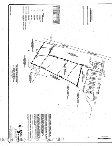
LAND - Hudson, NY

Incredible opportunity for mixed residential and commercial development in the heart of the Hudson-Greenport commercial and residential area. Access to public sewer and water, electric and gas. Close to Amtrak station. Permissible zoning and development friendly local officials. Great private location, set back from the Fairview Avenue thoroughfare. The best of both worlds: convenience to shopping and entertainment, yet privacy for residents. Easy access to Route 9, the Taconic Parkway, The New York State Thruway, the Catskills & the Berkshires. Also available together with a 2 Family needing restoration and 2 small lots.

Copyright © 2026 Hudson Valley Catskill Region MLS. All rights reserved. All information provided by the listing agent/broker is deemed reliable but is not guaranteed and should be independently verified.

Read More

From elevation to risk assessment

Search for detailed parcel information including; Elevation & Vegetation Maps, Ownership Information, Detailed Parcel Information, Crop History Map, Soil Survey Productivity Data, and more.

Research Parcel Information

Is this your property? Sell it faster with premium placement and targeted ads.

Provided By

0
Source: ListHub, MLS# 20252940
Listing status: Active
Listing last updated: April 13, 2026 at 8:36 PM
Listing last checked: April 16, 2026 at 4:30 AM
Report this listing